今天14时弘大速配,“桦加沙”减弱为强台风级,中心附近最大风力为15级, 50米/秒(约180公里/小时),中心位于距离广东省阳江市东偏南方向约75公里的海面上。
据中央气象台,台风“桦加沙”将于24日傍晚到夜间在广东阳江到湛江一带沿海登陆,穿过雷州半岛后进入北部湾,登陆时强度为台风级或强台风级,之后向西偏南方向移动,趋向越南北部,强度逐渐减弱。

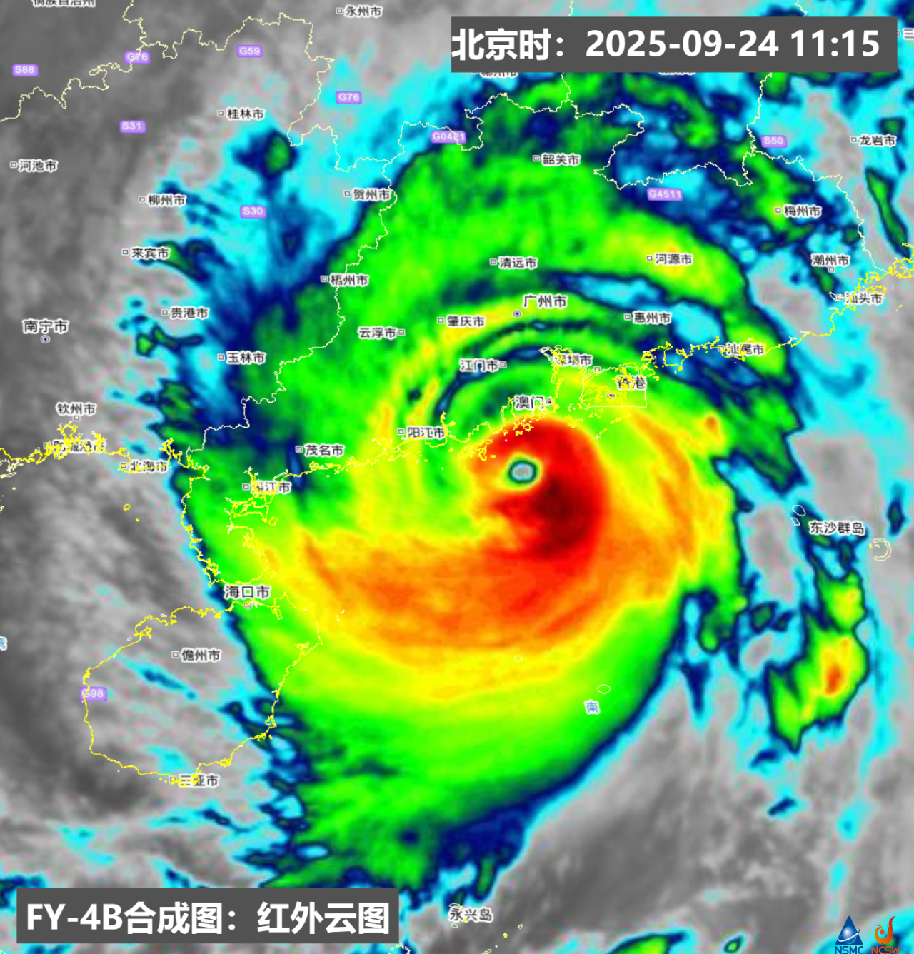
△9月24日11时15分,FY-4B静止气象卫星红外增强图显示,台风“桦加沙”位于广东南部近海,云系影响广东省大部、广西东部和海南东部。
那么,“桦加沙”的路径将怎样发展?其带来的风雨有多强?公众最需要防范哪些灾害风险?记者采访了中央气象台台风与海洋气象预报中心首席预报员王海平。
“桦加沙”已对广东沿海造成严重风雨影响 登陆在即
“桦加沙”从巴士海峡进入南海后弘大速配,受到副热带高压南侧气流的引导,向西偏北方向移动。目前,已移动到广东省近海海面。后期受到北方冷空气南下的影响,“桦加沙”的强度将会被削弱,其移动路径也将受到影响,由西偏北开始逐渐转为向偏西方向移动。
中央气象台预计,24日至26日,台湾海峡、南海北部、华南等地将出现强风雨天气,要特别关注极端大风可能带来的不利影响。广东大部、广西东部和南部、海南岛西部和北部、福建东部、浙江东部、台湾岛东部、江苏中部、安徽中南部等地部分地区有大到暴雨、局地大暴雨,广东东南部沿海和西部等局地特大暴雨。

△23日06时至24日06时,广东、广西、湖南、江西、福建、贵州24小时累积降水最大值302毫米。来源:国家气象信息中心

△23日06时至24日06时,广东24小时极大风最大值52.7m/s(16级),发生在广东省珠海市香洲区庙湾主站站[G1216] 。来源:广东省气象局
华南等地需警惕强风雨致灾弘大速配
“桦加沙”具有个头大、强度强、大风极端性强的特点。
南海北部、北部湾、琼州海峡等海域及广东中西部沿海强风持续时间长,公众需持续做好防台风措施,尽量避免外出;华南及云南、贵州、江苏、福建、浙江等地需防范强降雨可能引发的城市暴雨积涝、山洪、泥石流、山体滑坡等灾害。另外,“桦加沙”影响期间正值天文大潮,广东沿海有明显风暴增水,珠江口附近及香港、澳门等城市需警惕海水倒灌。

台风登陆后,随着强度减弱,台风预警信号会随之解除,但并不代表台风影响就此消失。专家表示,“桦加沙”还将为华南沿海带来降水和大风,相关地区需重点防范其后续影响。
台风“桦加沙”的影响将在9月26日左右趋于结束,但紧随其后的今年第20号台风“博罗依”已于24日5时在菲律宾以东洋面生成,中心附近最大风力8级(18米/秒),并将以每小时10至15公里的速度向西偏北方向移动,逐渐向菲律宾东部沿海靠近,预计于27日进入南海东部海域,之后向西北方向移动,强度有所增强。
受其影响,9月28日至10月1日,华南、江南西部和南部有大到暴雨,局地大暴雨或特大暴雨。气象专家提示,秋台风的影响不可小觑,公众需及时关注台风预报,合理安排生活和出行。
秋季台风频繁发生并非罕见
自今年9月以来,西北太平洋和南海已经生成6个台风。为何秋台风扎堆来袭?
秋季台风频繁发生并不罕见。中央气象台统计数据显示,从常年平均来看,9月至11月,平均每年生成10.7个秋台风,有2.3个登陆我国。其中有50%至60%以台风、强台风或者超强台风级别登陆。
王海平解释,进入秋季,海洋经过整个夏季的持续加热,海温较高,为台风的发展增强提供充足的能量来源;秋季的大气环流形势相较夏季更为稳定,垂直方向的风速或风向随高度变化也有所减弱,有利于台风的发展增强;来自西南季风和副热带高压南侧的东南气流仍然比较活跃,将大量暖湿水汽输送到台风形成的区域。另外,秋台风容易与北方南下的冷空气相遇,加剧暖湿空气抬升,也容易导致极端降水发生。
近期弘大速配,来自印度洋的西南季风活跃,季风槽内对流活动旺盛,海水温度高,环流形势较为稳定,水汽输送充足,使得近期台风的生成较为密集。
杠杆配资网提示:文章来自网络,不代表本站观点。